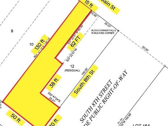
Rare commercial land in Manhattan's vibrant community with 15 ft of E. Main Street frontage. 3424 sq ft commercial parcel off Main St. and S. 8th St. Recently surveyed and all corners are marked. Zoned Central Business District which has no minimum set backs from property lines. Endless opportunities with ideal live/work. Use your imagination with this affordable lot---you could build an apartment on top of your business or shop. The strip of E. Main frontage jogs back to 30 feet off S. 8th with over 50 feet access from back alley. Manhattan has experienced tremendous growth which means all sorts of new business opportunities for you to pursue.
Lot/land
$200,000
S 8th St, Manhattan, MT 59741
--beds
--baths
3,423.82Square Feet
Unimproved Land
Built in ----
3,423.82 Square Feet Lot
$-- Zestimate®
$--/sqft
$-- HOA
What's special
Rare commercial land
- 2 days |
- 133 |
- 2 |
Zillow last checked: 7 hours ago
Listing updated: March 26, 2026 at 05:32pm
Listed by:
Nancy Clark 406-579-9190,
AmeriMont Real Estate,
Ciana Jimenez 808-366-8069,
AmeriMont Real Estate
Source: Big Sky Country MLS,MLS#: 409242Originating MLS: Big Sky Country MLS
Facts & features
Interior
Interior area
- Finished area above ground: 0
Property
Lot
- Size: 3,423.82 Square Feet
- Features: Level
- Topography: Level
Details
- Parcel number: REE6019
- Zoning description: B3
- Special conditions: None
Utilities & green energy
- Sewer: Public Sewer
- Water: Public
- Utilities for property: Electricity Available, Natural Gas Available, Sewer Available, Water Available
Community & HOA
Community
- Subdivision: Manhattan Original Plat
HOA
- Has HOA: No
Location
- Region: Manhattan
Financial & listing details
- Annual tax amount: $744
- Date on market: 3/26/2026
- Cumulative days on market: 245 days
- Listing terms: Cash,1031 Exchange,3rd Party Financing
- Electric utility on property: Yes
- Road surface type: Dirt, Paved
Estimated market value
Not available
Estimated sales range
Not available
Not available
Price history
Price history
| Date | Event | Price |
|---|---|---|
| 3/26/2026 | Listed for sale | $200,000-11.1% |
Source: Big Sky Country MLS #409242 Report a problem | ||
| 11/1/2025 | Listing removed | $225,000 |
Source: Big Sky Country MLS #399800 Report a problem | ||
| 6/16/2025 | Price change | $225,000-9.6% |
Source: Big Sky Country MLS #399800 Report a problem | ||
| 3/3/2025 | Listed for sale | $249,000 |
Source: Big Sky Country MLS #399800 Report a problem | ||
Public tax history
Public tax history
Tax history is unavailable.BuyAbility℠ payment
Estimated monthly payment
All calculations are estimates and provided by Zillow, Inc. for informational purposes only. Actual amounts may vary.
HOA fees may include property taxes on listings classified as Co-Ops. Contact the listing agent and/or owner for fee details.
Mortgage interest rates are dependent on a number of factors, including credit score, down payment, and repayment length. Interest rate data provided by Zillow Group Marketplace, Inc. as of 1/1/1970 from various mortgage lenders with which we have lead or other similar arrangements; the Estimated Payment is an average of those rates.
See how much you could borrow to make a competitive offer.
Boost your down payment with 6% savings match
Earn up to a 6% match & get a competitive APY with a *. Zillow has partnered with to help get you home faster.
Learn more*Terms apply. Match provided by Foyer. Account offered by Pacific West Bank, Member FDIC.Climate risks
Neighborhood: 59741
Nearby schools
GreatSchools rating
- 7/10Manhattan Elementary SchoolGrades: PK-4Distance: 0.6 mi
- 6/10Manhattan 7-8Grades: 5-8Distance: 0.6 mi
- 6/10Manhattan High SchoolGrades: 9-12Distance: 0.6 mi






