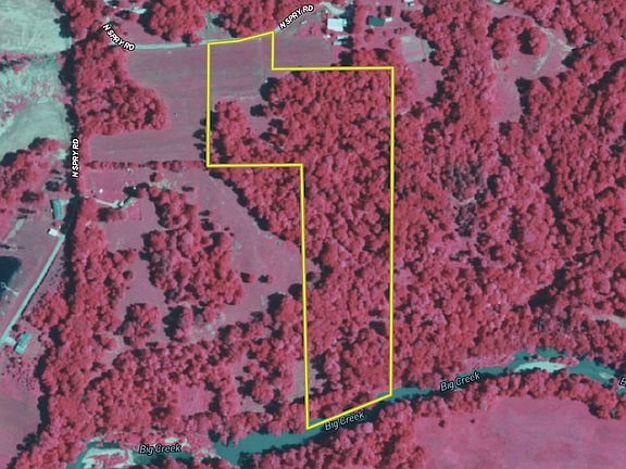
Located along Spry Road in rural Jefferson County, this wooded tract offers a strong combination of wildlife habitat, privacy, and convenient access to nearby communities. The property lies near the small community of Deputy in an area known for its agricultural landscape, recreational land ownership, and consistent deer hunting activity.The southern boundary of the property is defined by Big Creek, a well-known waterway in the area that flows year-round and provides a natural travel corridor and water source for local wildlife. Properties with creek frontage in this region often attract deer, turkey, and other species that utilize the surrounding hardwood timber and agricultural fields. The presence of this water feature also adds diversity to the terrain and natural landscape.The acreage is primarily wooded with mature timber throughout much of the property. The terrain is moderately rolling to hilly, creating a mix of ridges and draws that contribute to wildlife movement and habitat diversity. The wooded setting offers both recreational opportunities and potential timber value while maintaining the secluded character of the property.The surrounding area consists largely of farmland, timber tracts, and rural residences, creating a quiet, private setting that many landowners seek in southern Indiana. Deputy and the surrounding countryside have long been popular with outdoor enthusiasts who value the region's hunting opportunities and scenic rural landscape.Despite the secluded atmosphere, the property remains accessible to nearby towns and recreational destinations. The historic river town of Madison is located approximately 15 miles to the southeast and offers shopping, dining, and services. Hardy Lake is not too far away and offers boating, fishing, and other outdoor recreation. Interstate access is also within reach, allowing travel to larger cities, including Louisville, Indianapolis, and Cincinnati.This property offers wooded acreage with creek frontage in a rural setting that supports recreational use, hunting, and enjoyment of southern Indiana's natural landscape.
Pending
$160,000
N Spry Rd Lot Wp001, Deputy, IN 47230
--beds
--baths
--sqft
Est.:
Unimproved Land
Built in ----
-- sqft lot
$-- Zestimate®
$--/sqft
$-- HOA
What's special
- 19 days |
- 1 |
- 0 |
Zillow last checked: 7 hours ago
Listed by:
Whitetail Properties,
Whitetail Properties
Source: Whitetail Properties,MLS#: 108730
Estimated market value
Not available
Estimated sales range
Not available
Not available
Price history
Price history
| Date | Event | Price |
|---|---|---|
| 3/9/2026 | Pending sale | $160,000 |
Source: Whitetail Properties #108730 Report a problem | ||
Public tax history
Public tax history
Tax history is unavailable.BuyAbility℠ payment
Est. payment
$939/mo
Principal & interest
$851
Property taxes
$88
More affordability tools
Climate risks
Neighborhood: 47230
Nearby schools
GreatSchools rating
- 8/10Deputy Elementary SchoolGrades: PK-4Distance: 4.2 mi
- 6/10Madison Consolidated Jr High SchoolGrades: 5-8Distance: 9.5 mi
- 6/10Madison Consolidated High SchoolGrades: 9-12Distance: 9.5 mi
Local experts in 47230
- Indiana
- Jefferson County
- Deputy
- 47230
- N Spry Rd Lot Wp001






