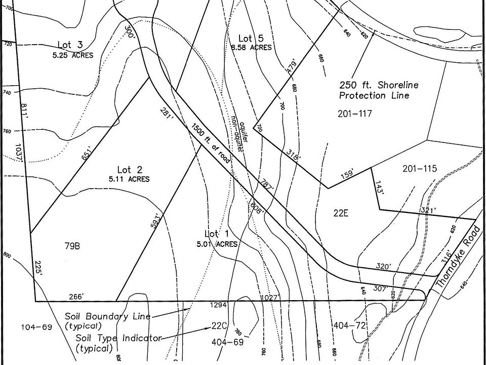
This property presents a rare opportunity to own 33.80 acres of beautiful, undeveloped land in scenic Weare, complete with a conceptual plan for a 5-lot subdivision. This expansive parcel offers privacy, natural surroundings, and outstanding potential for future use. Whether you envision creating a private estate, family compound, or exploring development possibilities, the groundwork has already begun with drafted conceptual subdivision plans. You may choose to pursue those plans or bring your own vision to life. With electricity available at the street and the land currently enrolled in Current Use, the property offers both practical accessibility and favorable tax advantages while you plan your next steps. The acreage features wooded terrain and a substantial deposit of high-quality sand and gravel that may be suitable for infrastructure improvements, septic installation, or other buyer-directed projects. Set in a peaceful setting, the property offers space, flexibility, and long-term value—an exceptional opportunity for builders, investors, or buyers seeking a large tract to hold or develop over time. Located in Weare, approximately one mile from Lake Horace, residents enjoy a balance of rural character and everyday convenience. The town offers access to outdoor recreation including lakes, rivers, hiking trails, snowmobile routes, Clough State Park and nearby Pats Peak Ski Area for winter activities. Weare provides local schools, small businesses, and community amenities while remaining within reasonable commuting distance to Manchester, Concord, and major routes. This property combines size, setting, and potential in one compelling package.
Active
Listed by: EXP Realty
$539,000
Map 201 Lot 114 Thorndike Road #114, Weare, NH 03281
--beds
--baths
33.8Acres
Unimproved Land
Built in ----
33.8 Acres Lot
$-- Zestimate®
$--/sqft
$-- HOA
What's special
Peaceful settingWooded terrain
- 14 days |
- 220 |
- 6 |
Zillow last checked: 7 hours ago
Listing updated: March 10, 2026 at 09:10am
Listed by:
Matthew Drechsel,
EXP Realty Phone:603-339-9793
Source: PrimeMLS,MLS#: 5077608
Facts & features
Property
Features
- Frontage length: Road frontage: 900
Lot
- Size: 33.8 Acres
- Features: Rural, Hilly, Wooded
Details
- Zoning description: RURAL AGRICULTURAL
Utilities & green energy
- Electric: At Street
- Sewer: On-Site Septic Needed
- Utilities for property: None, No Internet
Community & HOA
Location
- Region: Weare
Financial & listing details
- Tax assessed value: $103,500
- Annual tax amount: $2,240
- Date on market: 2/26/2026
- Road surface type: Paved
Estimated market value
Not available
Estimated sales range
Not available
Not available
Price history
Price history
| Date | Event | Price |
|---|---|---|
| 2/26/2026 | Listed for sale | $539,000 |
Source: | ||
Public tax history
Public tax history
Tax history is unavailable.BuyAbility℠ payment
Estimated monthly payment
Boost your down payment with 6% savings match
Earn up to a 6% match & get a competitive APY with a *. Zillow has partnered with to help get you home faster.
Learn more*Terms apply. Match provided by Foyer. Account offered by Pacific West Bank, Member FDIC.Climate risks
Neighborhood: 03281
Getting around
0 / 100
Car-DependentNearby schools
GreatSchools rating
- 3/10Center Woods SchoolGrades: PK-3Distance: 1.5 mi
- 3/10Weare Middle SchoolGrades: 4-8Distance: 1.9 mi
- 5/10John Stark Regional High SchoolGrades: 9-12Distance: 1.6 mi
Schools provided by the listing agent
- Elementary: Center Woods Elementary School
- Middle: Weare Middle School
- High: John Stark Regional HS
- District: John Stark Regional
Source: PrimeMLS. This data may not be complete. We recommend contacting the local school district to confirm school assignments for this home.



