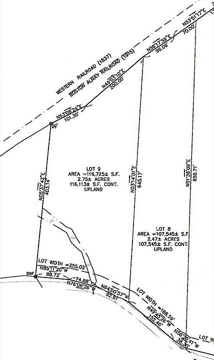
One of 9 ANR lots newly approved on a mid-state rail trail country road. Lot 9 has a stream crossing the lower left corner leaving 2.6 acres of continuous upland to build on. Pole 21 to the right of the brook is close to the right lot lone. There are 6 other lots listed in MLS if you need more land. Survey with pole locations and soil test results that were witnessed and approved by the Board of Health agent are added to this listing in Documents. Seller will remove 61B tax status prior to closing. The engineer working with the seller can provide all engineering and survey work required for septic system, residential storm water management if needed, and plot plan with your home design on it for an additional cost paid directly to them.
Lot/land
$125,000
LOT 9 Gould Rd, Charlton, MA 01507
--beds
0baths
2.75Acres
Residential
Built in ----
2.75 Acres Lot
$-- Zestimate®
$--/sqft
$-- HOA
What's special
- 1 day |
- 43 |
- 1 |
Zillow last checked: 7 hours ago
Listing updated: March 20, 2026 at 05:16am
Listed by:
Karen Mercure Jerz 508-335-6802,
Century 21 Custom Home Realty 508-473-4777
Source: MLS PIN,MLS#: 73489546
Facts & features
Interior
Bedrooms & bathrooms
- Bathrooms: 0
Features
- Has basement: No
Property
Features
- Waterfront features: Stream
- Frontage length: 255.00
Lot
- Size: 2.75 Acres
- Features: Wetlands
Details
- Zoning: agricult
Utilities & green energy
- Electric: At Street
- Gas: None
- Sewer: Private Sewer, Perc Test On File
- Water: Private
Community & HOA
HOA
- Has HOA: No
Location
- Region: Charlton
Financial & listing details
- Date on market: 3/20/2026
- Road surface type: Paved
Estimated market value
Not available
Estimated sales range
Not available
Not available
Price history
Price history
| Date | Event | Price |
|---|---|---|
| 3/20/2026 | Listed for sale | $125,000 |
Source: MLS PIN #73489546 Report a problem | ||
Public tax history
Public tax history
Tax history is unavailable.BuyAbility℠ payment
Estimated monthly payment
All calculations are estimates and provided by Zillow, Inc. for informational purposes only. Actual amounts may vary.
HOA fees may include property taxes on listings classified as Co-Ops. Contact the listing agent and/or owner for fee details.
Mortgage interest rates are dependent on a number of factors, including credit score, down payment, and repayment length. Interest rate data provided by Zillow Group Marketplace, Inc. as of 1/1/1970 from various mortgage lenders with which we have lead or other similar arrangements; the Estimated Payment is an average of those rates.
See how much you could borrow to make a competitive offer.
Boost your down payment with 6% savings match
Earn up to a 6% match & get a competitive APY with a *. Zillow has partnered with to help get you home faster.
Learn more*Terms apply. Match provided by Foyer. Account offered by Pacific West Bank, Member FDIC.Climate risks
Neighborhood: 01507
Nearby schools
GreatSchools rating
- NACharlton Elementary SchoolGrades: PK-1Distance: 2.8 mi
- 4/10Charlton Middle SchoolGrades: 5-8Distance: 2.9 mi
- 5/10Shepherd Hill Regional High SchoolGrades: 9-12Distance: 8.6 mi
Local experts in 01507
- Massachusetts
- Worcester County
- Charlton
- 01507
- LOT 9 Gould Rd





