Develop, Renovate, or Create: A Rare Opportunity on Blaine Road. An incredible opportunity awaits. With its desirable location and expansive potential, this property is a canvas for your vision. Whether an ambitious developer or a builder looking for a next project, this versatile lot offers many possibilities. Wetlands and Soil Maps available.
Active
Listed by: CENTURY 21 North Homes Realty
$950,000
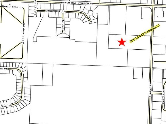
8055 Blaine Road, Blaine, WA 98230
--beds
--baths
6.15Acres
Unimproved Land
Built in ----
6.15 Acres Lot
$-- Zestimate®
$--/sqft
$-- HOA
What's special
- 215 days |
- 0 |
- 0 |
Zillow last checked: 7 hours ago
Listing updated: August 25, 2025 at 09:50am
Listed by:
Paul Blacksmith,
CENTURY 21 North Homes Realty,
Bailey White,
CENTURY 21 North Homes Realty
Source: NWMLS as distributed by MLS GRID,MLS#: 2423562
Facts & features
Interior
Features
- Has fireplace: No
Interior area
- Total structure area: 0
Property
Lot
- Size: 6.15 Acres
Details
- Parcel number: 40013047846000
- Zoning description: Commercial,Jurisdiction: County
- Special conditions: Standard
Utilities & green energy
- Electric: In Street
- Gas: In Street
- Sewer: Available
- Water: Available
- Utilities for property: Electricity Available, Natural Gas Available
Community & HOA
Community
- Subdivision: Birch Bay
Location
- Region: Blaine
Financial & listing details
- Annual tax amount: $6,404
- Date on market: 8/23/2025
- Cumulative days on market: 216 days
- Listing terms: Conventional
- Road surface type: Paved, See Remarks
Estimated market value
Not available
Estimated sales range
Not available
Not available
Price history
Price history
| Date | Event | Price |
|---|---|---|
| 3/26/2026 | Listed for sale | $950,000 |
Source: | ||
Public tax history
Public tax history
Tax history is unavailable.BuyAbility℠ payment
Estimated monthly payment
All calculations are estimates and provided by Zillow, Inc. for informational purposes only. Actual amounts may vary.
HOA fees may include property taxes on listings classified as Co-Ops. Contact the listing agent and/or owner for fee details.
Mortgage interest rates are dependent on a number of factors, including credit score, down payment, and repayment length. Interest rate data provided by Zillow Group Marketplace, Inc. as of 1/1/1970 from various mortgage lenders with which we have lead or other similar arrangements; the Estimated Payment is an average of those rates.
See how much you could borrow to make a competitive offer.
Boost your down payment with 6% savings match
Earn up to a 6% match & get a competitive APY with a *. Zillow has partnered with to help get you home faster.
Learn more*Terms apply. Match provided by Foyer. Account offered by Pacific West Bank, Member FDIC.Climate risks
Neighborhood: 98230
Nearby schools
GreatSchools rating
- NABlaine Primary SchoolGrades: PK-2Distance: 4 mi
- 7/10Blaine Middle SchoolGrades: 6-8Distance: 4.2 mi
- 7/10Blaine High SchoolGrades: 9-12Distance: 4.1 mi
Local experts in 98230
- Washington
- Whatcom County
- Blaine
- 98230
- 8055 Blaine Road







