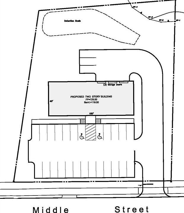
Property previously approved for a building totaling 4000 to 12,000 sqft. One floor or 3 floors with a 40 x 100 ft footprint. Permits have expired so you can get a re-approval for the same building and site plan or redesign the plan to suite your needs. Owner financing may be available. Owner/ Agent. all uses for the I-T zone and also may be used for multi tenant property for smaller business spaces. Call to discuss. your ideas, previously approved plans are attached to the listing.
This property is off market, which means it's not currently listed for sale or rent on Zillow. This may be different from what's available on other websites or public sources.

