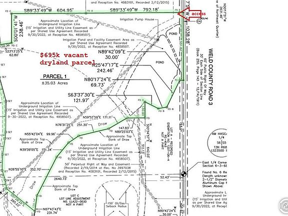
35 acre ag zoned Weld County building lot in a great location in the Front Range of Colorado. Building Permit Ready. This location truly offers some of the best views one can find of Longs Peak, Mountains and Foothills along the Front Range, located west of I-25 between the area of Mead, Longmont and Berthoud, yet Weld County! The size of this parcel allows one to build their home, barn, shed off the road with Un-obstructed views of Longs Peak and all the privacy one could ask for. Build your own dream home(s), shop , barn and outbuildings. Zoned AG, no HOA, no Covenants. Mead school(s) within the St. Vrain School District. Minutes from I-25! This is a dryland building parcel surrounded by irrigated farms and rural residential.
Lot/land
$649,000
3 Ct Rd, Berthoud, CO 80513
--beds
--baths
35.03Acres
Unimproved Land
Built in ----
35.03 Acres Lot
$-- Zestimate®
$--/sqft
$-- HOA
What's special
- 285 days |
- 207 |
- 13 |
Zillow last checked: 8 hours ago
Listing updated: October 29, 2025 at 05:01pm
Listed by:
Mark Drouhard 9703816307,
LandProfessionals, LLC
Source: IRES,MLS#: 1034147
Facts & features
Property
Features
- Has view: Yes
- View description: Mountain(s), Hills, Plains View, Panoramic
- Body of water: Seasonal Irrigation Pond
Lot
- Size: 35.03 Acres
- Features: Level, Rolling Slope, No Improvements, Water Rights Excluded, Gas/Oil Excluded, Mineral Rights Excluded
Details
- Parcel number: R8983616
- Zoning: ag
- Special conditions: Licensed Owner,Partnership
- Horses can be raised: Yes
- Horse amenities: Zoning Appropriate for 4+ Horses
Utilities & green energy
- Electric: United Power
- Gas: propane
- Sewer: None
- Water: None
- Utilities for property: Electricity Available, Propane, Electricity within 100 ft.
Community & HOA
Community
- Subdivision: none
HOA
- Has HOA: No
Location
- Region: Berthoud
Financial & listing details
- Annual tax amount: $450
- Date on market: 5/15/2025
- Listing terms: Cash,Conventional
- Exclusions: All irrigation equipment located at the irrigation pond
- Electric utility on property: Yes
- Road surface type: Gravel
Estimated market value
Not available
Estimated sales range
Not available
Not available
Price history
Price history
| Date | Event | Price |
|---|---|---|
| 8/19/2025 | Price change | $649,000-6.6% |
Source: | ||
| 5/15/2025 | Listed for sale | $695,000 |
Source: | ||
Public tax history
Public tax history
Tax history is unavailable.BuyAbility℠ payment
Estimated monthly payment
Boost your down payment with 6% savings match
Earn up to a 6% match & get a competitive APY with a *. Zillow has partnered with to help get you home faster.
Learn more*Terms apply. Match provided by Foyer. Account offered by Pacific West Bank, Member FDIC.Climate risks
Neighborhood: 80513
Nearby schools
GreatSchools rating
- 7/10Berthoud Elementary SchoolGrades: PK-5Distance: 3.5 mi
- 5/10Turner Middle SchoolGrades: 6-8Distance: 3.2 mi
- 7/10Berthoud High SchoolGrades: 9-12Distance: 3.1 mi
Schools provided by the listing agent
- Elementary: Mead
- Middle: Mead
- High: Mead
Source: IRES. This data may not be complete. We recommend contacting the local school district to confirm school assignments for this home.







