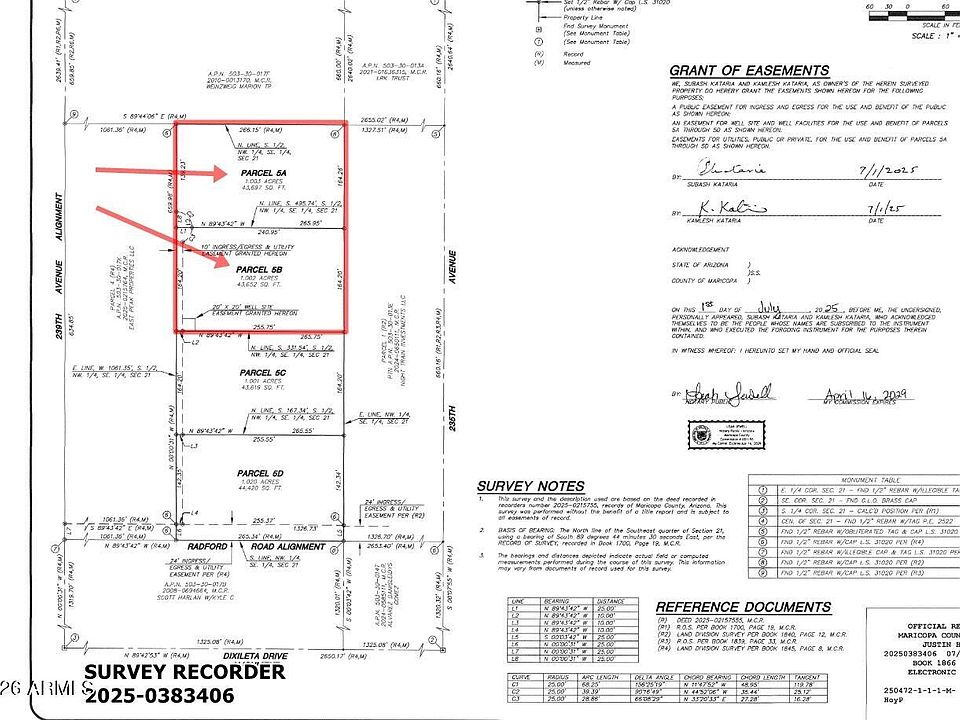
Two north Lots of 4 lot split of parcel 503-30-017L. Includes wellshares for 2 lots.
Pending
$199,900
237X4 W radford Road #5A-5B, Wittmann, AZ 85361
--beds
--baths
2.01Acres
Est.:
Land
Built in ----
2.01 Acres Lot
$-- Zestimate®
$--/sqft
$-- HOA
What's special
- 22 days |
- 1 |
- 0 |
Zillow last checked: 7 hours ago
Listing updated: March 06, 2026 at 04:21pm
Listed by:
Christopher Just 623-239-9452,
Just Land Consultants
Source: ARMLS,MLS#: 6994783

Facts & features
Property
Features
- Fencing: None
Lot
- Size: 2.01 Acres
- Dimensions: 330 x 266
- Topography: Level
- Residential vegetation: Natural Vegetation
Details
- Additional structures: None
- Parcel number: 50330017L
- Zoning: Ru-43
Utilities & green energy
- Electric: APS, None
- Sewer: None
- Water: Domestic Well
Community & HOA
HOA
- Has HOA: No
Location
- Region: Wittmann
Financial & listing details
- Annual tax amount: $1
- Date on market: 3/6/2026
- Listing terms: Cash,Seller Approve Terms
- Electric utility on property: Yes
- Road surface type: Dirt
Estimated market value
Not available
Estimated sales range
Not available
Not available
Price history
Price history
| Date | Event | Price |
|---|---|---|
| 3/6/2026 | Pending sale | $199,900 |
Source: | ||
| 3/6/2026 | Listed for sale | $199,900 |
Source: | ||
Public tax history
Public tax history
Tax history is unavailable.BuyAbility℠ payment
Est. payment
$1,099/mo
Principal & interest
$1031
Property taxes
$68
More affordability tools
Climate risks
Neighborhood: 85361
Nearby schools
GreatSchools rating
- 4/10Nadaburg Elementary SchoolGrades: PK-8Distance: 3.2 mi
- NANadaburg Online Virtual AcademyGrades: 7-12Distance: 3.2 mi
Local experts in 85361
- Arizona
- Maricopa County
- Wittmann
- 85361
- 237X4 W radford Road Unit 5A-5B







