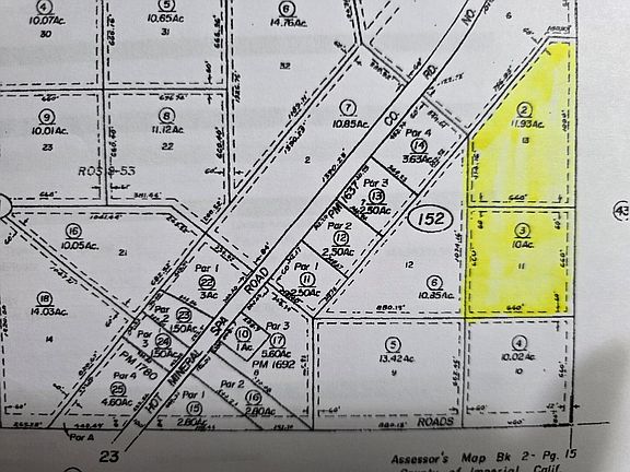
Niland, Ca. 21.93 acres More or Less off of Hot Mineral Spa Rd. Located on East side of Hot Mineral Spa Rd, South of Spa Rd. Zoned S-1-RE. APN 002-152-002-000 11.59 ac M/L gps Lat 33.368124 / Long -115.683277 and APN 002-152-003-000 9.83 ac M/L Lat 33.386081 Long -115.683442. Located East of Bombay Beach. Build your dream ranch or buy and hold for investment. Area known for Hot Mineral Spas / Waters and gorgeous winter weather.
Lot/land
$27,000
21.93 Hot Mineral Spa Rd, Niland, CA 92257
--beds
--baths
--sqft
Unimproved Land
Built in ----
-- sqft lot
$-- Zestimate®
$--/sqft
$-- HOA
What's special
- 48 days |
- 24 |
- 1 |
Zillow last checked: 8 hours ago
Listing updated: February 09, 2026 at 01:12pm
Listed by:
Michelle Gold,
Desert Gold Properties, Inc.
Source: Greater Palm Springs Realtors,MLS#: 219142975
Originating MLS: California Desert Association of Realtors
Facts & features
Property
Features
- Has view: Yes
- View description: Desert, Panoramic, Mountain(s)
Details
- Parcel number: 002152002
Utilities & green energy
- Sewer: Unknown
Community & HOA
Community
- Subdivision: Not Applicable
HOA
- Has HOA: No
Location
- Region: Niland
Financial & listing details
- Date on market: 2/10/2026
- Listing terms: Cash
Estimated market value
Not available
Estimated sales range
Not available
Not available
Price history
Price history
| Date | Event | Price |
|---|---|---|
| 2/10/2026 | Listed for sale | $27,000 |
Source: | ||
Public tax history
Public tax history
Tax history is unavailable.BuyAbility℠ payment
Estimated monthly payment
All calculations are estimates and provided by Zillow, Inc. for informational purposes only. Actual amounts may vary.
HOA fees may include property taxes on listings classified as Co-Ops. Contact the listing agent and/or owner for fee details.
Mortgage interest rates are dependent on a number of factors, including credit score, down payment, and repayment length. Interest rate data provided by Zillow Group Marketplace, Inc. as of 1/1/1970 from various mortgage lenders with which we have lead or other similar arrangements; the Estimated Payment is an average of those rates.
See how much you could borrow to make a competitive offer.
Boost your down payment with 6% savings match
Earn up to a 6% match & get a competitive APY with a *. Zillow has partnered with to help get you home faster.
Learn more*Terms apply. Match provided by Foyer. Account offered by Pacific West Bank, Member FDIC.Climate risks
Neighborhood: 92257
Nearby schools
GreatSchools rating
- 7/10Grace Smith Elementary SchoolGrades: K-4Distance: 14.1 mi
- 6/10Bill E. Young Jr. Middle SchoolGrades: 5-8Distance: 20.5 mi
- 4/10Calipatria High SchoolGrades: 9-12Distance: 20.2 mi
Local experts in 92257
- California
- Imperial County
- Niland
- 92257
- 21.93 Hot Mineral Spa Rd





