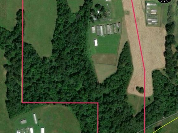
Incredible 40-acre opportunity in Jay! Mostly cleared and flat with a pond, some wooded areas for privacy and recreation, this versatile property is fully fenced and ready for your vision. Formerly used as a grow operation, it includes 6 hoop houses, 4 additional outbuildings, and a functional 4 bed, 2 bath doublewide, perfect as a residence, rental, or temporary housing while you build. On-site well water supports agriculture, homesteading, or livestock. Whether you’re looking to farm, develop, or simply escape to wide-open space, the value here is truly in the land. No restrictions, abundant potential.
Lot/land
$400,000
17333 E 390th Rd, Jay, OK 74346
--beds
--baths
40Acres
Unimproved Land
Built in ----
40 Acres Lot
$-- Zestimate®
$--/sqft
$-- HOA
What's special
Wooded areas for privacy
- 133 days |
- 88 |
- 7 |
Zillow last checked: 7 hours ago
Listing updated: March 08, 2026 at 10:53am
Listed by:
Jeff L Thomas 918-740-1858,
Walter & Associates, Inc.
Source: MLS Technology, Inc.,MLS#: 2545081
Originating MLS: MLS Technology
Facts & features
Property
Features
- Fencing: Barbed Wire,Other
Lot
- Size: 40 Acres
- Features: Acreage
- Residential vegetation: Partially Wooded
Details
- Additional structures: Other
- Parcel number: 210091821
- Zoning description: Rural Ag
Utilities & green energy
- Sewer: Septic Tank
- Water: Well
- Utilities for property: Electricity Available
Community & HOA
Community
- Subdivision: Delaware Co Unplatted
HOA
- Has HOA: No
Location
- Region: Jay
Financial & listing details
- Annual tax amount: $70
- Date on market: 10/28/2025
- Cumulative days on market: 266 days
- Road surface type: Gravel
Estimated market value
Not available
Estimated sales range
Not available
Not available
Price history
Price history
| Date | Event | Price |
|---|---|---|
| 10/28/2025 | Listed for sale | $400,000 |
Source: | ||
| 10/15/2025 | Listing removed | $400,000 |
Source: | ||
| 6/5/2025 | Listed for sale | $400,000 |
Source: | ||
Public tax history
Public tax history
Tax history is unavailable.BuyAbility℠ payment
Estimated monthly payment
Boost your down payment with 6% savings match
Earn up to a 6% match & get a competitive APY with a *. Zillow has partnered with to help get you home faster.
Learn more*Terms apply. Match provided by Foyer. Account offered by Pacific West Bank, Member FDIC.Climate risks
Neighborhood: 74346
Nearby schools
GreatSchools rating
- 4/10Jay Upper Elementary SchoolGrades: 4-6Distance: 5.4 mi
- 5/10Jay Middle SchoolGrades: 7-8Distance: 5.4 mi
- 3/10Jay High SchoolGrades: 9-12Distance: 5.4 mi
Schools provided by the listing agent
- District: Jay - Sch Dist (D1)
Source: MLS Technology, Inc.. This data may not be complete. We recommend contacting the local school district to confirm school assignments for this home.





