2-ACRE lot in one of Montgomery County's prestigious acreage communities. The community is a 5,000-acre, high-elevation, forested acreage development, with full paved road frontage and access to brand new underground utilities, including water, electricity, and high-speed fiber optic internet. Key Features: Ready for development Custom homes 2,000+ SF allowed Community water No MUD taxes Underground power, high-speed fiber internet Paved road frontage Community Amenities: 8-Acre Stocked Fishing Lake, hiking trails, horseback trails Near Lake Conroe - Boating, Kayaking & Fishing
Lot/land
$130,000
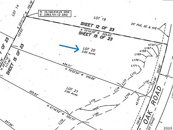
15884 Ridge Oak LOT 20, WILLIS, TX 77378
--beds
--baths
2Acres
Unimproved Land
Built in ----
2 Acres Lot
$-- Zestimate®
$--/sqft
$41/mo HOA
What's special
Full paved road frontagePaved road frontage
- 11 hours |
- 13 |
- 0 |
Zillow last checked: 8 hours ago
Listing updated: 19 hours ago
Listed by:
Edward McClintick TREC #303307 (888) 227-1009,
Joseph Walter Realty, LLC
Source: LERA MLS,MLS#: 1946710
Facts & features
Property
Features
- Frontage length: 202
Lot
- Size: 2 Acres
- Features: Wooded, Level
- Topography: Level
- Residential vegetation: Many Trees
Details
- Parcel number: 82820803300
- Zoning description: RES ACG
Utilities & green energy
- Sewer: Septic System: In Place
- Water: Water on Site
- Utilities for property: Electricity Available, Water Connected
Community & HOA
Community
- Features: None
- Subdivision: N /A
HOA
- Has HOA: Yes
- HOA fee: $495 annually
- HOA name: REPUBLIC GRAND RANCH PROPERTY OWNERS ASSOCIATION
Location
- Region: Willis
Financial & listing details
- Annual tax amount: $2,342
- Price range: $130K - $130K
- Date on market: 3/6/2026
- Cumulative days on market: 2 days
- Listing terms: Cash
- Road surface type: Asphalt
Estimated market value
Not available
Estimated sales range
Not available
$1,275/mo
Price history
Price history
| Date | Event | Price |
|---|---|---|
| 3/6/2026 | Listed for sale | $130,000-18.7% |
Source: | ||
| 7/23/2024 | Listing removed | $159,900 |
Source: | ||
| 2/3/2024 | Listed for sale | $159,900 |
Source: | ||
Public tax history
Public tax history
Tax history is unavailable.BuyAbility℠ payment
Estimated monthly payment
Boost your down payment with 6% savings match
Earn up to a 6% match & get a competitive APY with a *. Zillow has partnered with to help get you home faster.
Learn more*Terms apply. Match provided by Foyer. Account offered by Pacific West Bank, Member FDIC.Climate risks
Neighborhood: 77378
Nearby schools
GreatSchools rating
- 5/10Edward B Cannan Elementary SchoolGrades: K-5Distance: 6.8 mi
- 2/10Lynn Lucas Middle SchoolGrades: 6-8Distance: 8 mi
- 6/10Willis High SchoolGrades: 9-12Distance: 8.8 mi
Schools provided by the listing agent
- District: Willis I.S.D
Source: LERA MLS. This data may not be complete. We recommend contacting the local school district to confirm school assignments for this home.



