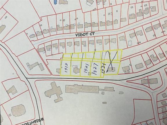
Property being sold with 1313,1327, 1331 only. Zoned R-2 which allows for duplexes.
This property is off market, which means it's not currently listed for sale or rent on Zillow. This may be different from what's available on other websites or public sources.


