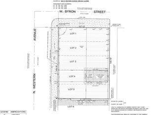
182x422 LOT! Can be DIVIDED! Rare opportunity to build your dream home (or multiple dream homes) on a magnificent private oasis in East Glenview. This amazing parcel is situated on almost 2 acres adjacent to coveted Glenayre Park with stunning unobstructed sweeping views of the Glen View Club golf course and a river fed pond! Additional adjacent lots available as well! Plat of Subdivision already approved by Village of Glenview. All Utilities available at the street. Tree surveys and Drainage Engineering all complete. Bring your development ideas. *Please note there is NO walking the property without appointment. Additional Notes: MULTIPLE Contiguous lots available! Amazing Development Opportunity! The 1125 Longvalley Estate which is located on the south side of Longvalley just east of the river and west of Woodland (current addresses: 1117 (SOLD), 1119, 1121, 1123, 1125 Longvalley lots) -Per Village of Glenview: R-2 Zoning. There are cul-de-sac development opportunities for developers or beautiful already subdivided single family lots available for personal building needs. For additional subdivision: Each parcel must have a minimum of .5 acre and 80ft frontage, all information to be confirmed with Village, variances can be requested. Seller has already successfully prepared a Plat of Subdivision with the Village of Glenview which included multiple tree surveys and tagging, topographical surveys, and drainage engineering. Water/Electric/Sewer available at street. The lot at 1117 Longvalley (92x440) has already been subdivided and sold for $1,400,000. Multiple options for lot breakouts and development opportunities but as of now we are pricing 2 Lots at 92x400+ each (Lots 2/3) at $1,500,000 each and Lot 1 with the pond at $1,299,000. The current 11,000 sq foot estate at 1125 Longvalley which is completely move in ready as well is listed at $4,495,000 on its own with 3.42 acres. The entire almost 6.42 acre parcel plus home is offered at $8,500,000. There is NO walking the property without appointment-
Active
$2,950,000
1119 Longvalley Rd, Glenview, IL 60025
--beds
--baths
1.84Acres
Unimproved Land
Built in ----
1.84 Acres Lot
$1,871,900 Zestimate®
$--/sqft
$-- HOA
What's special
River fed pondStunning unobstructed sweeping viewsMagnificent private oasis
- 216 days |
- 216 |
- 1 |
Zillow last checked: 8 hours ago
Listing updated: February 04, 2026 at 10:06pm
Listing courtesy of:
Pam MacPherson 847-508-8048,
@properties Christie's International Real Estate,
Trish Herakovich 847-809-3591,
@properties Christie's International Real Estate
Source: MRED as distributed by MLS GRID,MLS#: 12430812
Facts & features
Property
Features
- Has view: Yes
- View description: Back of Property
- Water view: Back of Property
- Frontage length: 182
Lot
- Size: 1.84 Acres
- Dimensions: 182X440
Details
- Parcel number: 12345678900000
- Special conditions: None
Utilities & green energy
- Utilities for property: Electricity Nearby, Natural Gas Nearby, Sewer Nearby, Water Nearby
Community & HOA
Location
- Region: Glenview
Financial & listing details
- Tax assessed value: $695,520
- Annual tax amount: $14,743
- Date on market: 7/27/2025
- Ownership: Fee Simple
- Road surface type: Asphalt
Estimated market value
$1,871,900
$1.33M - $2.58M
$2,553/mo
Price history
Price history
| Date | Event | Price |
|---|---|---|
| 1/30/2026 | Listed for sale | $2,950,000 |
Source: | ||
| 12/19/2025 | Contingent | $2,950,000 |
Source: | ||
| 9/12/2025 | Price change | $2,950,000-1.7% |
Source: | ||
| 7/27/2025 | Listed for sale | $3,000,000-21.1% |
Source: | ||
| 12/11/2014 | Sold | $3,800,000-11.6% |
Source: Agent Provided Report a problem | ||
| 10/15/2014 | Pending sale | $4,300,000 |
Source: Coldwell Banker Residential Brokerage - Glenview #08743305 Report a problem | ||
| 10/3/2014 | Listed for sale | $4,300,000 |
Source: Coldwell Banker Residential Brokerage - Glenview #08743305 Report a problem | ||
Public tax history
Public tax history
| Year | Property taxes | Tax assessment |
|---|---|---|
| 2023 | $14,743 +3.1% | $69,552 |
| 2022 | $14,296 -5.1% | $69,552 +9.2% |
| 2021 | $15,068 +5.8% | $63,700 |
| 2020 | $14,247 -2.1% | $63,700 -9% |
| 2019 | $14,554 -9% | $70,000 +0.3% |
| 2018 | $15,999 -6.8% | $69,795 -9.3% |
| 2017 | $17,166 +5.9% | $76,924 |
| 2016 | $16,216 +10.6% | $76,924 +24.5% |
| 2015 | $14,666 +1.9% | $61,808 |
| 2014 | $14,389 +11.3% | $61,808 |
| 2013 | $12,932 -15.2% | $61,808 -16.1% |
| 2012 | $15,253 +14.9% | $73,635 |
| 2011 | $13,278 -6.8% | $73,635 |
| 2010 | $14,254 +9.8% | $73,635 -9.8% |
| 2009 | $12,985 +2.1% | $81,650 -12% |
| 2008 | $12,718 -3.2% | $92,785 -6.7% |
| 2007 | $13,135 +46.4% | $99,476 +64.2% |
| 2006 | $8,969 +2.5% | $60,570 |
| 2005 | $8,755 -2% | $60,570 |
| 2004 | $8,933 -1.6% | $60,570 +7.7% |
| 2003 | $9,080 +1.1% | $56,219 |
| 2002 | $8,985 +6.7% | $56,219 |
| 2001 | $8,418 +3% | $56,219 +13.4% |
| 2000 | $8,176 +0.6% | $49,581 |
| 1999 | $8,124 | $49,581 |
Find assessor info on the county website
BuyAbility℠ payment
Estimated monthly payment
Boost your down payment with 6% savings match
Earn up to a 6% match & get a competitive APY with a *. Zillow has partnered with to help get you home faster.
Learn more*Terms apply. Match provided by Foyer. Account offered by Pacific West Bank, Member FDIC.Climate risks
Neighborhood: 60025
Nearby schools
GreatSchools rating
- NALyon Elementary SchoolGrades: PK-2Distance: 1.2 mi
- 8/10Springman Middle SchoolGrades: 6-8Distance: 1.9 mi
- 9/10Glenbrook South High SchoolGrades: 9-12Distance: 3.8 mi
Schools provided by the listing agent
- Elementary: Lyon Elementary School
- Middle: Springman Middle School
- High: Glenbrook South High School
- District: 34
Source: MRED as distributed by MLS GRID. This data may not be complete. We recommend contacting the local school district to confirm school assignments for this home.



