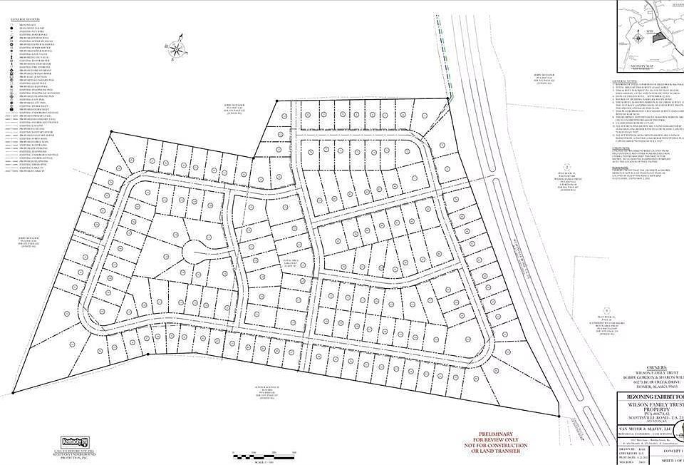
This offering presents a well-positioned residential development opportunity at 0 Scottsville Rd, located on the west side of the road in one of South Warren County's most desirable and expanding areas. The property consists of vacant land that has been rezoned to RS-1B, Single-Family Residential, and is planned for 157 single-family lots. Located within an area experiencing continued residential development and consistent household growth, the site benefits from its position along the Alvaton corridor, one of South Warren County's most active and steadily growing residential areas. With zoning secured and subdivision planning underway, the property represents a scalable single-family development opportunity in a proven growth pocket of the greater Bowling Green market.
Lot/land
$2,600,000
0 Scottsville Rd, Alvaton, KY 42122
--beds
--baths
61.66Acres
Acreage
Built in ----
61.66 Acres Lot
$-- Zestimate®
$--/sqft
$-- HOA
What's special
- 30 days |
- 95 |
- 10 |
Zillow last checked: 7 hours ago
Listing updated: February 27, 2026 at 07:23am
Listed by:
Kent Bulle 270-799-6006,
BHG Realty
Source: RASK,MLS#: RA20261044
Facts & features
Property
Features
- Fencing: None
- Body of water: None
Lot
- Size: 61.66 Acres
- Features: County, Cleared, Partially Wooded
- Topography: Level
Details
- Additional structures: None
- Parcel number: 067A61
Utilities & green energy
- Sewer: Other
- Water: Other
- Utilities for property: Electricity Connected
Community & HOA
Community
- Subdivision: N/A
HOA
- Amenities included: None
Location
- Region: Alvaton
Financial & listing details
- Price range: $2.6M - $2.6M
- Date on market: 2/27/2026
- Electric utility on property: Yes
- Road surface type: None
Estimated market value
Not available
Estimated sales range
Not available
Not available
Price history
Price history
| Date | Event | Price |
|---|---|---|
| 2/27/2026 | Listed for sale | $2,600,000 |
Source: | ||
Public tax history
Public tax history
Tax history is unavailable.BuyAbility℠ payment
Estimated monthly payment
All calculations are estimates and provided by Zillow, Inc. for informational purposes only. Actual amounts may vary.
HOA fees may include property taxes on listings classified as Co-Ops. Contact the listing agent and/or owner for fee details.
Mortgage interest rates are dependent on a number of factors, including credit score, down payment, and repayment length. Interest rate data provided by Zillow Group Marketplace, Inc. as of 1/1/1970 from various mortgage lenders with which we have lead or other similar arrangements; the Estimated Payment is an average of those rates.
See how much you could borrow to make a competitive offer.
Boost your down payment with 6% savings match
Earn up to a 6% match & get a competitive APY with a *. Zillow has partnered with to help get you home faster.
Learn more*Terms apply. Match provided by Foyer. Account offered by Pacific West Bank, Member FDIC.Climate risks
Neighborhood: 42122
Nearby schools
GreatSchools rating
- 7/10Alvaton Elementary SchoolGrades: PK-6Distance: 1 mi
- 10/10Drakes Creek Middle SchoolGrades: 7-8Distance: 5.7 mi
- 9/10Greenwood High SchoolGrades: 9-12Distance: 5.6 mi
Schools provided by the listing agent
- Elementary: Alvaton
- Middle: Drakes Creek
- High: Greenwood
Source: RASK. This data may not be complete. We recommend contacting the local school district to confirm school assignments for this home.
Local experts in 42122
- Kentucky
- Warren County
- Alvaton
- 42122
- 0 Scottsville Rd







